Инжeнерные изыскания
Питомник декоративных растений
Благоустройство и озеленение
Пректирование инженерных коммуникаций
Организация дорожного движения
Проектирование дорог
Проектирование мостов и путепроводов

Графическая часть проекта

Графическая часть проекта

Пресс-центр
Римский Форум —
центр общественной жизни Древнего Рима.
Грандиозный комплекс сооружений, воплотивший в себе красоту Рима, славу и величие императоров.

Однажды Юлий Цезарь потчевал народ, выставив среди мраморных просторов Форума 22 тысячи столов.

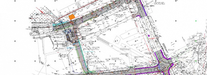
Проектирование инженерных коммуникаций по объекту «Строительство транспортной развязки в одном уровне на пересечении ул.Кооперативная и въезда на а.д. "Подъезд к г. Жуковский (ЛИИ им. Громова)"

6 февраля 2018 года

Автомобильная дорога находится в юго-восточной части города Жуковский в Московской области. Основное назначение объекта - обеспечение безопасных и комфортных условий для движения автотранспорта гостей и участников международного авиакосмического салона России («МАКС»). В рамках проектирования инженерных коммуникаций Компанией «ВТМ дорпроект» выполнены следующие виды работ:

- переустройство линейных сооружений связи;

- переустройство кабельных линий 0,4 – 10кВ;

- переустройство сетей канализации;

- переустройство сетей наружного водоснабжения;

- переустройство сетей теплоснабжения;

- переустройство газопровода;

- переустройство наружного освещения;

- переустройство ливневой канализации.